7 March 2016
•
The Adloun Beach Construction Case
Adloun Beach Classified Among the Nine Highest-Priority Sea Turtle Nesting Sites on the Lebanese Coast
Adloun Beach has been classified as one of the nine “high-importance” sites out of nineteen along the Lebanese coast for sea turtle nesting activity, according to a survey conducted by the United Nations Development Programme (UNDP) in cooperation with the Ministry of Environment and other international organizations (Sea Turtle Nesting Activity Assessment on the Lebanese Coast – August 2002).
Sea turtles serve as an indicator of the site’s ecological vitality, as they occupy the top of the food chain (whether green turtles or loggerheads).
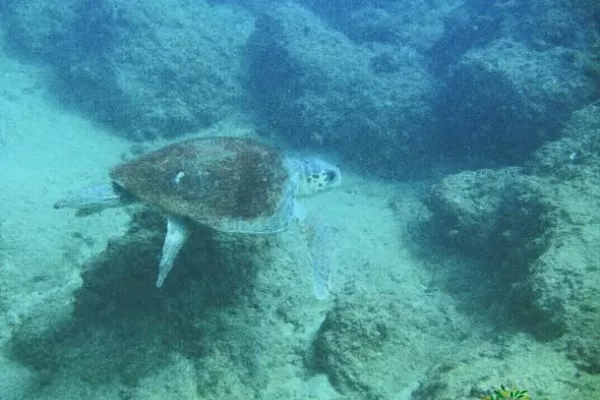
Image: A sea turtle in the Adloun marine area, where groups live permanently despite the ongoing use of dynamite for fishing.
Classification and map of the nineteen sites along the Lebanese coast.


